sourceTaxonName
stringlengths 3
36
| sourceTaxonRank
stringclasses 7
values | targetTaxonName
stringlengths 3
36
| targetTaxonRank
stringclasses 7
values | interactionTypeName
stringclasses 14
values | sourceTaxonKingdomName
stringclasses 7
values | sourceTaxonPhylumName
stringclasses 17
values | sourceTaxonClassName
stringclasses 38
values | sourceTaxonOrderName
stringclasses 149
values | sourceTaxonFamilyName
stringclasses 982
values | sourceTaxonGenusName
stringlengths 3
19
⌀ | targetTaxonKingdomName
stringclasses 7
values | targetTaxonPhylumName
stringclasses 27
values | targetTaxonClassName
stringclasses 77
values | targetTaxonOrderName
stringclasses 309
values | targetTaxonFamilyName
stringlengths 5
20
⌀ | targetTaxonGenusName
stringlengths 3
20
⌀ | decimalLatitude
stringlengths 3
10
⌀ | decimalLongitude
stringlengths 4
11
⌀ | year
stringdate 1958-01-01 00:00:00
2025-01-01 00:00:00
| month
stringclasses 12
values | day
stringclasses 31
values | identifier
stringlengths 57
77
⌀ | license
stringclasses 7
values | referenceCitation
stringlengths 46
50
|
|---|---|---|---|---|---|---|---|---|---|---|---|---|---|---|---|---|---|---|---|---|---|---|---|---|
Polyommatus icarus
|
species
|
Centaurea
|
genus
|
visits
|
Animalia
|
Arthropoda
|
Insecta
|
Lepidoptera
|
Lycaenidae
|
Polyommatus
|
Plantae
|
Tracheophyta
|
Magnoliopsida
|
Asterales
|
Asteraceae
|
Centaurea
|
42.835206
|
2.027717
|
2024
|
10
|
7
|
http://creativecommons.org/licenses/by-nc/4.0/
|
https://www.inaturalist.org/observations/246212895
|
|
Polyommatus icarus
|
species
|
Centaurea
|
genus
|
visits
|
Animalia
|
Arthropoda
|
Insecta
|
Lepidoptera
|
Lycaenidae
|
Polyommatus
|
Plantae
|
Tracheophyta
|
Magnoliopsida
|
Asterales
|
Asteraceae
|
Centaurea
|
42.835206
|
2.027717
|
2024
|
10
|
7
|
http://creativecommons.org/licenses/by-nc/4.0/
|
https://www.inaturalist.org/observations/246212895
|
|
Bombus impatiens
|
species
|
Narcissus
|
genus
|
visitsFlowersOf
|
Animalia
|
Arthropoda
|
Insecta
|
Hymenoptera
|
Apidae
|
Bombus
|
Plantae
|
Tracheophyta
|
Liliopsida
|
Asparagales
|
Amaryllidaceae
|
Narcissus
|
44.022087
|
-92.491066
|
2020
|
4
|
25
|
http://creativecommons.org/licenses/by-nc/4.0/
|
https://www.inaturalist.org/observations/82193669
|
|
Ichneumon xanthorius
|
species
|
Hedera maderensis
|
species
|
interactsWith
|
Animalia
|
Arthropoda
|
Insecta
|
Hymenoptera
|
Ichneumonidae
|
Ichneumon
|
Plantae
|
Tracheophyta
|
Magnoliopsida
|
Apiales
|
Araliaceae
|
Hedera
|
43.194333
|
6.008877
|
2021
|
6
|
8
|
http://creativecommons.org/licenses/by-nc/4.0/
|
https://www.inaturalist.org/observations/82199491
|
|
Ichneumon xanthorius
|
species
|
Hedera maderensis
|
species
|
interactsWith
|
Animalia
|
Arthropoda
|
Insecta
|
Hymenoptera
|
Ichneumonidae
|
Ichneumon
|
Plantae
|
Tracheophyta
|
Magnoliopsida
|
Apiales
|
Araliaceae
|
Hedera
|
43.194333
|
6.008877
|
2021
|
6
|
8
|
http://creativecommons.org/licenses/by-nc/4.0/
|
https://www.inaturalist.org/observations/82199491
|
|
Ichneumon xanthorius
|
species
|
Hedera maderensis
|
species
|
interactsWith
|
Animalia
|
Arthropoda
|
Insecta
|
Hymenoptera
|
Ichneumonidae
|
Ichneumon
|
Plantae
|
Tracheophyta
|
Magnoliopsida
|
Apiales
|
Araliaceae
|
Hedera
|
43.194333
|
6.008877
|
2021
|
6
|
8
|
http://creativecommons.org/licenses/by-nc/4.0/
|
https://www.inaturalist.org/observations/82199491
|
|
Strymon melinus
|
species
|
Verbesina persicifolia
|
species
|
visitsFlowersOf
|
Animalia
|
Arthropoda
|
Insecta
|
Lepidoptera
|
Lycaenidae
|
Strymon
|
Plantae
|
Tracheophyta
|
Magnoliopsida
|
Asterales
|
Asteraceae
|
Verbesina
|
22.996624
|
-99.704725
|
2024
|
10
|
7
|
http://creativecommons.org/licenses/by-nc/4.0/
|
https://www.inaturalist.org/observations/246208199
|
|
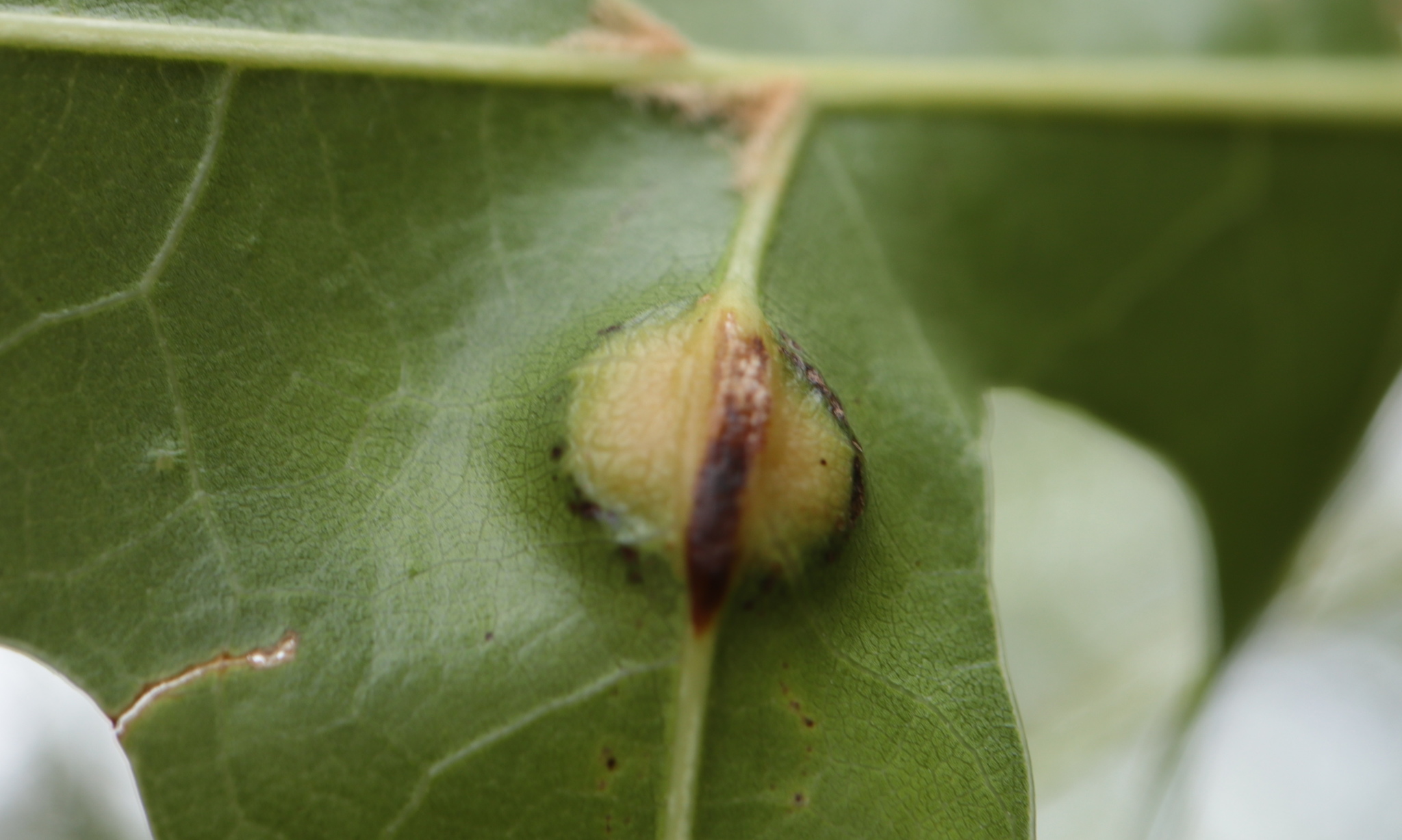
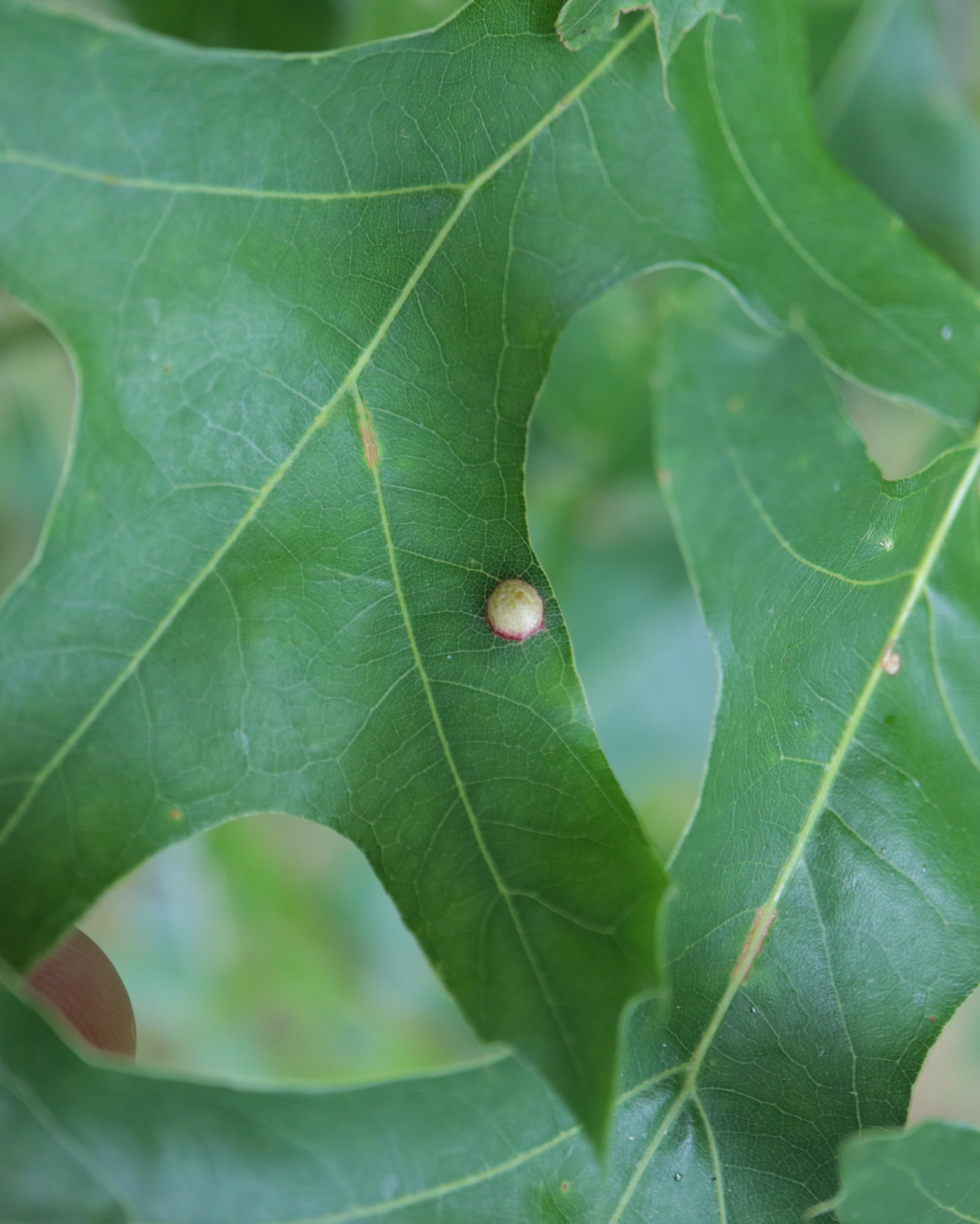
Polystepha pilulae
|
species
|
Quercus coccinea
|
species
|
interactsWith
|
Animalia
|
Arthropoda
|
Insecta
|
Diptera
|
Cecidomyiidae
|
Polystepha
|
Plantae
|
Tracheophyta
|
Magnoliopsida
|
Fagales
|
Fagaceae
|
Quercus
|
38.857542
|
-77.328425
|
2021
|
6
|
8
|
http://creativecommons.org/licenses/by/4.0/
|
https://www.inaturalist.org/observations/82187628
|
|
Polystepha pilulae
|
species
|
Quercus coccinea
|
species
|
interactsWith
|
Animalia
|
Arthropoda
|
Insecta
|
Diptera
|
Cecidomyiidae
|
Polystepha
|
Plantae
|
Tracheophyta
|
Magnoliopsida
|
Fagales
|
Fagaceae
|
Quercus
|
38.857542
|
-77.328425
|
2021
|
6
|
8
|
http://creativecommons.org/licenses/by/4.0/
|
https://www.inaturalist.org/observations/82187628
|
|
Amphibolips
|
genus
|
Quercus phellos
|
species
|
interactsWith
|
Animalia
|
Arthropoda
|
Insecta
|
Hymenoptera
|
Cynipidae
|
Amphibolips
|
Plantae
|
Tracheophyta
|
Magnoliopsida
|
Fagales
|
Fagaceae
|
Quercus
|
38.857542
|
-77.328425
|
2021
|
6
|
8
|
http://creativecommons.org/licenses/by/4.0/
|
https://www.inaturalist.org/observations/82187634
|
|
Amphibolips
|
genus
|
Quercus phellos
|
species
|
interactsWith
|
Animalia
|
Arthropoda
|
Insecta
|
Hymenoptera
|
Cynipidae
|
Amphibolips
|
Plantae
|
Tracheophyta
|
Magnoliopsida
|
Fagales
|
Fagaceae
|
Quercus
|
38.857542
|
-77.328425
|
2021
|
6
|
8
|
http://creativecommons.org/licenses/by/4.0/
|
https://www.inaturalist.org/observations/82187634
|
|
Amphibolips
|
genus
|
Quercus phellos
|
species
|
interactsWith
|
Animalia
|
Arthropoda
|
Insecta
|
Hymenoptera
|
Cynipidae
|
Amphibolips
|
Plantae
|
Tracheophyta
|
Magnoliopsida
|
Fagales
|
Fagaceae
|
Quercus
|
38.857542
|
-77.328425
|
2021
|
6
|
8
|
http://creativecommons.org/licenses/by/4.0/
|
https://www.inaturalist.org/observations/82187634
|
|
Amphibolips
|
genus
|
Quercus phellos
|
species
|
interactsWith
|
Animalia
|
Arthropoda
|
Insecta
|
Hymenoptera
|
Cynipidae
|
Amphibolips
|
Plantae
|
Tracheophyta
|
Magnoliopsida
|
Fagales
|
Fagaceae
|
Quercus
|
38.857542
|
-77.328425
|
2021
|
6
|
8
|
http://creativecommons.org/licenses/by/4.0/
|
https://www.inaturalist.org/observations/82187634
|
|
Bombus perplexus
|
species
|
Rubus idaeus
|
species
|
visitsFlowersOf
|
Animalia
|
Arthropoda
|
Insecta
|
Hymenoptera
|
Apidae
|
Bombus
|
Plantae
|
Tracheophyta
|
Magnoliopsida
|
Rosales
|
Rosaceae
|
Rubus
|
42.416577
|
-71.068677
|
2021
|
6
|
8
|
http://creativecommons.org/licenses/by-nc/4.0/
|
https://www.inaturalist.org/observations/82186733
|
|
Danaus plexippus
|
species
|
Solidago
|
genus
|
visitsFlowersOf
|
Animalia
|
Arthropoda
|
Insecta
|
Lepidoptera
|
Nymphalidae
|
Danaus
|
Plantae
|
Tracheophyta
|
Magnoliopsida
|
Asterales
|
Asteraceae
|
Solidago
|
40.566601
|
-74.161742
|
2020
|
10
|
8
|
http://creativecommons.org/licenses/by-nc/4.0/
|
https://www.inaturalist.org/observations/82191847
|
|
Danaus plexippus
|
species
|
Solidago
|
genus
|
visitsFlowersOf
|
Animalia
|
Arthropoda
|
Insecta
|
Lepidoptera
|
Nymphalidae
|
Danaus
|
Plantae
|
Tracheophyta
|
Magnoliopsida
|
Asterales
|
Asteraceae
|
Solidago
|
40.566601
|
-74.161742
|
2020
|
10
|
8
|
http://creativecommons.org/licenses/by-nc/4.0/
|
https://www.inaturalist.org/observations/82191847
|
|
Danaus plexippus
|
species
|
Solidago
|
genus
|
visitsFlowersOf
|
Animalia
|
Arthropoda
|
Insecta
|
Lepidoptera
|
Nymphalidae
|
Danaus
|
Plantae
|
Tracheophyta
|
Magnoliopsida
|
Asterales
|
Asteraceae
|
Solidago
|
40.566601
|
-74.161742
|
2020
|
10
|
8
|
http://creativecommons.org/licenses/by-nc/4.0/
|
https://www.inaturalist.org/observations/82191847
|
|
Diplazon laetatorius
|
species
|
Heliopsis helianthoides
|
species
|
visitsFlowersOf
|
Animalia
|
Arthropoda
|
Insecta
|
Hymenoptera
|
Ichneumonidae
|
Diplazon
|
Plantae
|
Tracheophyta
|
Magnoliopsida
|
Asterales
|
Asteraceae
|
Heliopsis
|
42.386511
|
-71.108362
|
2024
|
8
|
21
|
http://creativecommons.org/licenses/by-nc/4.0/
|
https://www.inaturalist.org/observations/246204419
|
|
Diplazon laetatorius
|
species
|
Heliopsis helianthoides
|
species
|
visitsFlowersOf
|
Animalia
|
Arthropoda
|
Insecta
|
Hymenoptera
|
Ichneumonidae
|
Diplazon
|
Plantae
|
Tracheophyta
|
Magnoliopsida
|
Asterales
|
Asteraceae
|
Heliopsis
|
42.386511
|
-71.108362
|
2024
|
8
|
21
|
http://creativecommons.org/licenses/by-nc/4.0/
|
https://www.inaturalist.org/observations/246204419
|
|
Diplazon laetatorius
|
species
|
Heliopsis helianthoides
|
species
|
visitsFlowersOf
|
Animalia
|
Arthropoda
|
Insecta
|
Hymenoptera
|
Ichneumonidae
|
Diplazon
|
Plantae
|
Tracheophyta
|
Magnoliopsida
|
Asterales
|
Asteraceae
|
Heliopsis
|
42.386511
|
-71.108362
|
2024
|
8
|
21
|
http://creativecommons.org/licenses/by-nc/4.0/
|
https://www.inaturalist.org/observations/246204419
|
|
Diplazon laetatorius
|
species
|
Heliopsis helianthoides
|
species
|
visitsFlowersOf
|
Animalia
|
Arthropoda
|
Insecta
|
Hymenoptera
|
Ichneumonidae
|
Diplazon
|
Plantae
|
Tracheophyta
|
Magnoliopsida
|
Asterales
|
Asteraceae
|
Heliopsis
|
42.386511
|
-71.108362
|
2024
|
8
|
21
|
http://creativecommons.org/licenses/by-nc/4.0/
|
https://www.inaturalist.org/observations/246204419
|
|
Diplazon laetatorius
|
species
|
Heliopsis helianthoides
|
species
|
visitsFlowersOf
|
Animalia
|
Arthropoda
|
Insecta
|
Hymenoptera
|
Ichneumonidae
|
Diplazon
|
Plantae
|
Tracheophyta
|
Magnoliopsida
|
Asterales
|
Asteraceae
|
Heliopsis
|
42.386511
|
-71.108362
|
2024
|
8
|
21
|
http://creativecommons.org/licenses/by-nc/4.0/
|
https://www.inaturalist.org/observations/246204419
|
|
Diplazon laetatorius
|
species
|
Heliopsis helianthoides
|
species
|
visitsFlowersOf
|
Animalia
|
Arthropoda
|
Insecta
|
Hymenoptera
|
Ichneumonidae
|
Diplazon
|
Plantae
|
Tracheophyta
|
Magnoliopsida
|
Asterales
|
Asteraceae
|
Heliopsis
|
42.386511
|
-71.108362
|
2024
|
8
|
21
|
http://creativecommons.org/licenses/by-nc/4.0/
|
https://www.inaturalist.org/observations/246204419
|
|
Diplazon laetatorius
|
species
|
Heliopsis helianthoides
|
species
|
visitsFlowersOf
|
Animalia
|
Arthropoda
|
Insecta
|
Hymenoptera
|
Ichneumonidae
|
Diplazon
|
Plantae
|
Tracheophyta
|
Magnoliopsida
|
Asterales
|
Asteraceae
|
Heliopsis
|
42.386511
|
-71.108362
|
2024
|
8
|
21
|
http://creativecommons.org/licenses/by-nc/4.0/
|
https://www.inaturalist.org/observations/246204419
|
|
Diplazon laetatorius
|
species
|
Heliopsis helianthoides
|
species
|
visitsFlowersOf
|
Animalia
|
Arthropoda
|
Insecta
|
Hymenoptera
|
Ichneumonidae
|
Diplazon
|
Plantae
|
Tracheophyta
|
Magnoliopsida
|
Asterales
|
Asteraceae
|
Heliopsis
|
42.386511
|
-71.108362
|
2024
|
8
|
21
|
http://creativecommons.org/licenses/by-nc/4.0/
|
https://www.inaturalist.org/observations/246204419
|
|
Diplazon laetatorius
|
species
|
Heliopsis helianthoides
|
species
|
visitsFlowersOf
|
Animalia
|
Arthropoda
|
Insecta
|
Hymenoptera
|
Ichneumonidae
|
Diplazon
|
Plantae
|
Tracheophyta
|
Magnoliopsida
|
Asterales
|
Asteraceae
|
Heliopsis
|
42.386511
|
-71.108362
|
2024
|
8
|
21
|
http://creativecommons.org/licenses/by-nc/4.0/
|
https://www.inaturalist.org/observations/246204419
|
|
Diplazon laetatorius
|
species
|
Heliopsis helianthoides
|
species
|
visitsFlowersOf
|
Animalia
|
Arthropoda
|
Insecta
|
Hymenoptera
|
Ichneumonidae
|
Diplazon
|
Plantae
|
Tracheophyta
|
Magnoliopsida
|
Asterales
|
Asteraceae
|
Heliopsis
|
42.386511
|
-71.108362
|
2024
|
8
|
21
|
http://creativecommons.org/licenses/by-nc/4.0/
|
https://www.inaturalist.org/observations/246204419
|
|
Diplazon laetatorius
|
species
|
Heliopsis helianthoides
|
species
|
visitsFlowersOf
|
Animalia
|
Arthropoda
|
Insecta
|
Hymenoptera
|
Ichneumonidae
|
Diplazon
|
Plantae
|
Tracheophyta
|
Magnoliopsida
|
Asterales
|
Asteraceae
|
Heliopsis
|
42.386511
|
-71.108362
|
2024
|
8
|
21
|
http://creativecommons.org/licenses/by-nc/4.0/
|
https://www.inaturalist.org/observations/246204419
|
|
Diplazon laetatorius
|
species
|
Heliopsis helianthoides
|
species
|
visitsFlowersOf
|
Animalia
|
Arthropoda
|
Insecta
|
Hymenoptera
|
Ichneumonidae
|
Diplazon
|
Plantae
|
Tracheophyta
|
Magnoliopsida
|
Asterales
|
Asteraceae
|
Heliopsis
|
42.386511
|
-71.108362
|
2024
|
8
|
21
|
http://creativecommons.org/licenses/by-nc/4.0/
|
https://www.inaturalist.org/observations/246204419
|
|
Diplazon laetatorius
|
species
|
Heliopsis helianthoides
|
species
|
visitsFlowersOf
|
Animalia
|
Arthropoda
|
Insecta
|
Hymenoptera
|
Ichneumonidae
|
Diplazon
|
Plantae
|
Tracheophyta
|
Magnoliopsida
|
Asterales
|
Asteraceae
|
Heliopsis
|
42.386511
|
-71.108362
|
2024
|
8
|
21
|
http://creativecommons.org/licenses/by-nc/4.0/
|
https://www.inaturalist.org/observations/246204419
|
|
Diplazon laetatorius
|
species
|
Heliopsis helianthoides
|
species
|
visitsFlowersOf
|
Animalia
|
Arthropoda
|
Insecta
|
Hymenoptera
|
Ichneumonidae
|
Diplazon
|
Plantae
|
Tracheophyta
|
Magnoliopsida
|
Asterales
|
Asteraceae
|
Heliopsis
|
42.386511
|
-71.108362
|
2024
|
8
|
21
|
http://creativecommons.org/licenses/by-nc/4.0/
|
https://www.inaturalist.org/observations/246204419
|
|
Bombus impatiens
|
species
|
Heliopsis helianthoides
|
species
|
visitsFlowersOf
|
Animalia
|
Arthropoda
|
Insecta
|
Hymenoptera
|
Apidae
|
Bombus
|
Plantae
|
Tracheophyta
|
Magnoliopsida
|
Asterales
|
Asteraceae
|
Heliopsis
|
42.386503
|
-71.108368
|
2024
|
8
|
21
|
http://creativecommons.org/licenses/by-nc/4.0/
|
https://www.inaturalist.org/observations/246204372
|
|
Bombus impatiens
|
species
|
Helenium autumnale
|
species
|
visitsFlowersOf
|
Animalia
|
Arthropoda
|
Insecta
|
Hymenoptera
|
Apidae
|
Bombus
|
Plantae
|
Tracheophyta
|
Magnoliopsida
|
Asterales
|
Asteraceae
|
Helenium
|
42.386555
|
-71.108337
|
2024
|
8
|
21
|
http://creativecommons.org/licenses/by-nc/4.0/
|
https://www.inaturalist.org/observations/246204373
|
|
Dibolia borealis
|
species
|
Plantago rugelii
|
species
|
interactsWith
|
Animalia
|
Arthropoda
|
Insecta
|
Coleoptera
|
Chrysomelidae
|
Dibolia
|
Plantae
|
Tracheophyta
|
Magnoliopsida
|
Lamiales
|
Plantaginaceae
|
Plantago
|
42.571055
|
-72.406088
|
2021
|
6
|
8
|
http://creativecommons.org/licenses/by-nc/4.0/
|
https://www.inaturalist.org/observations/82192827
|
|
Dibolia borealis
|
species
|
Plantago rugelii
|
species
|
interactsWith
|
Animalia
|
Arthropoda
|
Insecta
|
Coleoptera
|
Chrysomelidae
|
Dibolia
|
Plantae
|
Tracheophyta
|
Magnoliopsida
|
Lamiales
|
Plantaginaceae
|
Plantago
|
42.571055
|
-72.406088
|
2021
|
6
|
8
|
http://creativecommons.org/licenses/by-nc/4.0/
|
https://www.inaturalist.org/observations/82192827
|
|
Icaricia acmon
|
species
|
Lota
|
genus
|
eats
|
Animalia
|
Arthropoda
|
Insecta
|
Lepidoptera
|
Lycaenidae
|
Icaricia
|
Animalia
|
Chordata
| null |
Gadiformes
|
Lotidae
|
Lota
|
37.308181
|
-122.175655
|
2021
|
6
|
3
|
http://creativecommons.org/licenses/by/4.0/
|
https://www.inaturalist.org/observations/82193214
|
|
Icaricia acmon
|
species
|
Lota
|
genus
|
eats
|
Animalia
|
Arthropoda
|
Insecta
|
Lepidoptera
|
Lycaenidae
|
Icaricia
|
Animalia
|
Chordata
| null |
Gadiformes
|
Lotidae
|
Lota
|
37.308181
|
-122.175655
|
2021
|
6
|
3
|
http://creativecommons.org/licenses/by/4.0/
|
https://www.inaturalist.org/observations/82193214
|
|
Polystepha pilulae
|
species
|
Quercus coccinea
|
species
|
interactsWith
|
Animalia
|
Arthropoda
|
Insecta
|
Diptera
|
Cecidomyiidae
|
Polystepha
|
Plantae
|
Tracheophyta
|
Magnoliopsida
|
Fagales
|
Fagaceae
|
Quercus
|
38.857542
|
-77.328425
|
2021
|
6
|
8
|
http://creativecommons.org/licenses/by/4.0/
|
https://www.inaturalist.org/observations/82187626
|
|
Polystepha pilulae
|
species
|
Quercus coccinea
|
species
|
interactsWith
|
Animalia
|
Arthropoda
|
Insecta
|
Diptera
|
Cecidomyiidae
|
Polystepha
|
Plantae
|
Tracheophyta
|
Magnoliopsida
|
Fagales
|
Fagaceae
|
Quercus
|
38.857542
|
-77.328425
|
2021
|
6
|
8
|
http://creativecommons.org/licenses/by/4.0/
|
https://www.inaturalist.org/observations/82187626
|
|
Polystepha pilulae
|
species
|
Quercus coccinea
|
species
|
interactsWith
|
Animalia
|
Arthropoda
|
Insecta
|
Diptera
|
Cecidomyiidae
|
Polystepha
|
Plantae
|
Tracheophyta
|
Magnoliopsida
|
Fagales
|
Fagaceae
|
Quercus
|
38.857542
|
-77.328425
|
2021
|
6
|
8
|
http://creativecommons.org/licenses/by/4.0/
|
https://www.inaturalist.org/observations/82187626
|
|
Bombus perplexus
|
species
|
Rhododendron
|
genus
|
visitsFlowersOf
|
Animalia
|
Arthropoda
|
Insecta
|
Hymenoptera
|
Apidae
|
Bombus
|
Plantae
|
Tracheophyta
|
Magnoliopsida
|
Ericales
|
Ericaceae
|
Rhododendron
|
42.416577
|
-71.068677
|
2021
|
6
|
8
|
http://creativecommons.org/licenses/by-nc/4.0/
|
https://www.inaturalist.org/observations/82183363
|
|
Bombus perplexus
|
species
|
Rhododendron
|
genus
|
visitsFlowersOf
|
Animalia
|
Arthropoda
|
Insecta
|
Hymenoptera
|
Apidae
|
Bombus
|
Plantae
|
Tracheophyta
|
Magnoliopsida
|
Ericales
|
Ericaceae
|
Rhododendron
|
42.416577
|
-71.068677
|
2021
|
6
|
8
|
http://creativecommons.org/licenses/by-nc/4.0/
|
https://www.inaturalist.org/observations/82183363
|
|
Bombus perplexus
|
species
|
Rhododendron
|
genus
|
visitsFlowersOf
|
Animalia
|
Arthropoda
|
Insecta
|
Hymenoptera
|
Apidae
|
Bombus
|
Plantae
|
Tracheophyta
|
Magnoliopsida
|
Ericales
|
Ericaceae
|
Rhododendron
|
42.416577
|
-71.068677
|
2021
|
6
|
8
|
http://creativecommons.org/licenses/by-nc/4.0/
|
https://www.inaturalist.org/observations/82183363
|
|
Bombus perplexus
|
species
|
Rhododendron
|
genus
|
visitsFlowersOf
|
Animalia
|
Arthropoda
|
Insecta
|
Hymenoptera
|
Apidae
|
Bombus
|
Plantae
|
Tracheophyta
|
Magnoliopsida
|
Ericales
|
Ericaceae
|
Rhododendron
|
42.416577
|
-71.068677
|
2021
|
6
|
8
|
http://creativecommons.org/licenses/by-nc/4.0/
|
https://www.inaturalist.org/observations/82183363
|
|
Charaxes jasius
|
species
|
Arbutus unedo
|
species
|
interactsWith
|
Animalia
|
Arthropoda
|
Insecta
|
Lepidoptera
|
Nymphalidae
|
Charaxes
|
Plantae
|
Tracheophyta
|
Magnoliopsida
|
Ericales
|
Ericaceae
|
Arbutus
|
38.898974
|
-9.310845
|
2024
|
10
|
7
|
http://creativecommons.org/licenses/by-nc/4.0/
|
https://www.inaturalist.org/observations/246207205
|
|
Charaxes jasius
|
species
|
Arbutus unedo
|
species
|
interactsWith
|
Animalia
|
Arthropoda
|
Insecta
|
Lepidoptera
|
Nymphalidae
|
Charaxes
|
Plantae
|
Tracheophyta
|
Magnoliopsida
|
Ericales
|
Ericaceae
|
Arbutus
|
38.898974
|
-9.310845
|
2024
|
10
|
7
|
http://creativecommons.org/licenses/by-nc/4.0/
|
https://www.inaturalist.org/observations/246207205
|
|
Charaxes jasius
|
species
|
Arbutus unedo
|
species
|
interactsWith
|
Animalia
|
Arthropoda
|
Insecta
|
Lepidoptera
|
Nymphalidae
|
Charaxes
|
Plantae
|
Tracheophyta
|
Magnoliopsida
|
Ericales
|
Ericaceae
|
Arbutus
|
38.898974
|
-9.310845
|
2024
|
10
|
7
|
http://creativecommons.org/licenses/by-nc/4.0/
|
https://www.inaturalist.org/observations/246207205
|
|
Apis mellifera
|
species
|
Nuphar advena
|
species
|
visitsFlowersOf
|
Animalia
|
Arthropoda
|
Insecta
|
Hymenoptera
|
Apidae
|
Apis
|
Plantae
|
Tracheophyta
|
Magnoliopsida
|
Nymphaeales
|
Nymphaeaceae
|
Nuphar
|
28.641322
|
-80.735248
|
2024
|
10
|
5
|
http://creativecommons.org/licenses/by-nc-sa/4.0/
|
https://www.inaturalist.org/observations/246203314
|
|
Andricus
|
genus
|
Quercus douglasii
|
species
|
hasHost
|
Animalia
|
Arthropoda
|
Insecta
|
Hymenoptera
|
Cynipidae
|
Andricus
|
Plantae
|
Tracheophyta
|
Magnoliopsida
|
Fagales
|
Fagaceae
|
Quercus
|
38.244763
|
-122.146212
|
2021
|
6
|
7
|
http://creativecommons.org/licenses/by-nc/4.0/
|
https://www.inaturalist.org/observations/82184708
|
|
Andricus
|
genus
|
Quercus douglasii
|
species
|
hasHost
|
Animalia
|
Arthropoda
|
Insecta
|
Hymenoptera
|
Cynipidae
|
Andricus
|
Plantae
|
Tracheophyta
|
Magnoliopsida
|
Fagales
|
Fagaceae
|
Quercus
|
38.244763
|
-122.146212
|
2021
|
6
|
7
|
http://creativecommons.org/licenses/by-nc/4.0/
|
https://www.inaturalist.org/observations/82184708
|
|
Andricus
|
genus
|
Quercus douglasii
|
species
|
hasHost
|
Animalia
|
Arthropoda
|
Insecta
|
Hymenoptera
|
Cynipidae
|
Andricus
|
Plantae
|
Tracheophyta
|
Magnoliopsida
|
Fagales
|
Fagaceae
|
Quercus
|
38.244763
|
-122.146212
|
2021
|
6
|
7
|
http://creativecommons.org/licenses/by-nc/4.0/
|
https://www.inaturalist.org/observations/82184708
|
|
Andricus
|
genus
|
Quercus douglasii
|
species
|
hasHost
|
Animalia
|
Arthropoda
|
Insecta
|
Hymenoptera
|
Cynipidae
|
Andricus
|
Plantae
|
Tracheophyta
|
Magnoliopsida
|
Fagales
|
Fagaceae
|
Quercus
|
38.244763
|
-122.146212
|
2021
|
6
|
7
|
http://creativecommons.org/licenses/by-nc/4.0/
|
https://www.inaturalist.org/observations/82184708
|
|
Andricus
|
genus
|
Quercus douglasii
|
species
|
hasHost
|
Animalia
|
Arthropoda
|
Insecta
|
Hymenoptera
|
Cynipidae
|
Andricus
|
Plantae
|
Tracheophyta
|
Magnoliopsida
|
Fagales
|
Fagaceae
|
Quercus
|
38.244763
|
-122.146212
|
2021
|
6
|
7
|
http://creativecommons.org/licenses/by-nc/4.0/
|
https://www.inaturalist.org/observations/82184708
|
|
Physocephala tibialis
|
species
|
Trifolium
|
genus
|
visits
|
Animalia
|
Arthropoda
|
Insecta
|
Diptera
|
Conopidae
|
Physocephala
|
Animalia
|
Platyhelminthes
|
Trematoda
|
Plagiorchiida
|
Psilostomidae
|
Trifolium
|
43.100653
|
-71.286238
|
2021
|
6
|
8
|
http://creativecommons.org/licenses/by-nc/4.0/
|
https://www.inaturalist.org/observations/82185982
|
|
Physocephala tibialis
|
species
|
Trifolium
|
genus
|
visits
|
Animalia
|
Arthropoda
|
Insecta
|
Diptera
|
Conopidae
|
Physocephala
|
Plantae
|
Tracheophyta
|
Magnoliopsida
|
Fabales
|
Fabaceae
|
Trifolium
|
43.100653
|
-71.286238
|
2021
|
6
|
8
|
http://creativecommons.org/licenses/by-nc/4.0/
|
https://www.inaturalist.org/observations/82185982
|
|
Physocephala tibialis
|
species
|
Trifolium repens
|
species
|
visitsFlowersOf
|
Animalia
|
Arthropoda
|
Insecta
|
Diptera
|
Conopidae
|
Physocephala
|
Plantae
|
Tracheophyta
|
Magnoliopsida
|
Fabales
|
Fabaceae
|
Trifolium
|
43.100653
|
-71.286238
|
2021
|
6
|
8
|
http://creativecommons.org/licenses/by-nc/4.0/
|
https://www.inaturalist.org/observations/82185982
|
|
Bombus impatiens
|
species
|
Solidago sempervirens
|
species
|
visitsFlowersOf
|
Animalia
|
Arthropoda
|
Insecta
|
Hymenoptera
|
Apidae
|
Bombus
|
Plantae
|
Tracheophyta
|
Magnoliopsida
|
Asterales
|
Asteraceae
|
Solidago
|
42.991721
|
-76.370612
|
2024
|
10
|
5
|
http://creativecommons.org/licenses/by/4.0/
|
https://www.inaturalist.org/observations/246199391
|
|
Bombus impatiens
|
species
|
Solidago sempervirens
|
species
|
visitsFlowersOf
|
Animalia
|
Arthropoda
|
Insecta
|
Hymenoptera
|
Apidae
|
Bombus
|
Plantae
|
Tracheophyta
|
Magnoliopsida
|
Asterales
|
Asteraceae
|
Solidago
|
42.991721
|
-76.370612
|
2024
|
10
|
5
|
http://creativecommons.org/licenses/by/4.0/
|
https://www.inaturalist.org/observations/246199391
|
|
Bombus impatiens
|
species
|
Solidago sempervirens
|
species
|
visitsFlowersOf
|
Animalia
|
Arthropoda
|
Insecta
|
Hymenoptera
|
Apidae
|
Bombus
|
Plantae
|
Tracheophyta
|
Magnoliopsida
|
Asterales
|
Asteraceae
|
Solidago
|
42.991721
|
-76.370612
|
2024
|
10
|
5
|
http://creativecommons.org/licenses/by/4.0/
|
https://www.inaturalist.org/observations/246199391
|
|
Bombus impatiens
|
species
|
Solidago sempervirens
|
species
|
visitsFlowersOf
|
Animalia
|
Arthropoda
|
Insecta
|
Hymenoptera
|
Apidae
|
Bombus
|
Plantae
|
Tracheophyta
|
Magnoliopsida
|
Asterales
|
Asteraceae
|
Solidago
|
42.991721
|
-76.370612
|
2024
|
10
|
5
|
http://creativecommons.org/licenses/by/4.0/
|
https://www.inaturalist.org/observations/246199391
|
|
Bombus impatiens
|
species
|
Solidago sempervirens
|
species
|
visitsFlowersOf
|
Animalia
|
Arthropoda
|
Insecta
|
Hymenoptera
|
Apidae
|
Bombus
|
Plantae
|
Tracheophyta
|
Magnoliopsida
|
Asterales
|
Asteraceae
|
Solidago
|
42.991721
|
-76.370612
|
2024
|
10
|
5
|
http://creativecommons.org/licenses/by/4.0/
|
https://www.inaturalist.org/observations/246199391
|
|
Bombus impatiens
|
species
|
Solidago sempervirens
|
species
|
visitsFlowersOf
|
Animalia
|
Arthropoda
|
Insecta
|
Hymenoptera
|
Apidae
|
Bombus
|
Plantae
|
Tracheophyta
|
Magnoliopsida
|
Asterales
|
Asteraceae
|
Solidago
|
42.991721
|
-76.370612
|
2024
|
10
|
5
|
http://creativecommons.org/licenses/by/4.0/
|
https://www.inaturalist.org/observations/246199391
|
|
Bombus impatiens
|
species
|
Solidago sempervirens
|
species
|
visitsFlowersOf
|
Animalia
|
Arthropoda
|
Insecta
|
Hymenoptera
|
Apidae
|
Bombus
|
Plantae
|
Tracheophyta
|
Magnoliopsida
|
Asterales
|
Asteraceae
|
Solidago
|
42.991721
|
-76.370612
|
2024
|
10
|
5
|
http://creativecommons.org/licenses/by/4.0/
|
https://www.inaturalist.org/observations/246199391
|
|
Bombus impatiens
|
species
|
Solidago sempervirens
|
species
|
visitsFlowersOf
|
Animalia
|
Arthropoda
|
Insecta
|
Hymenoptera
|
Apidae
|
Bombus
|
Plantae
|
Tracheophyta
|
Magnoliopsida
|
Asterales
|
Asteraceae
|
Solidago
|
42.991721
|
-76.370612
|
2024
|
10
|
5
|
http://creativecommons.org/licenses/by/4.0/
|
https://www.inaturalist.org/observations/246199391
|
|
Bombus impatiens
|
species
|
Solidago sempervirens
|
species
|
visitsFlowersOf
|
Animalia
|
Arthropoda
|
Insecta
|
Hymenoptera
|
Apidae
|
Bombus
|
Plantae
|
Tracheophyta
|
Magnoliopsida
|
Asterales
|
Asteraceae
|
Solidago
|
42.991721
|
-76.370612
|
2024
|
10
|
5
|
http://creativecommons.org/licenses/by/4.0/
|
https://www.inaturalist.org/observations/246199391
|
|
Bombus impatiens
|
species
|
Solidago sempervirens
|
species
|
visitsFlowersOf
|
Animalia
|
Arthropoda
|
Insecta
|
Hymenoptera
|
Apidae
|
Bombus
|
Plantae
|
Tracheophyta
|
Magnoliopsida
|
Asterales
|
Asteraceae
|
Solidago
|
42.991721
|
-76.370612
|
2024
|
10
|
5
|
http://creativecommons.org/licenses/by/4.0/
|
https://www.inaturalist.org/observations/246199391
|
|
Bombus impatiens
|
species
|
Solidago sempervirens
|
species
|
visitsFlowersOf
|
Animalia
|
Arthropoda
|
Insecta
|
Hymenoptera
|
Apidae
|
Bombus
|
Plantae
|
Tracheophyta
|
Magnoliopsida
|
Asterales
|
Asteraceae
|
Solidago
|
42.991721
|
-76.370612
|
2024
|
10
|
5
|
http://creativecommons.org/licenses/by/4.0/
|
https://www.inaturalist.org/observations/246199391
|
|
Bombus impatiens
|
species
|
Solidago sempervirens
|
species
|
visitsFlowersOf
|
Animalia
|
Arthropoda
|
Insecta
|
Hymenoptera
|
Apidae
|
Bombus
|
Plantae
|
Tracheophyta
|
Magnoliopsida
|
Asterales
|
Asteraceae
|
Solidago
|
42.991721
|
-76.370612
|
2024
|
10
|
5
|
http://creativecommons.org/licenses/by/4.0/
|
https://www.inaturalist.org/observations/246199391
|
|
Bombus impatiens
|
species
|
Solidago sempervirens
|
species
|
visitsFlowersOf
|
Animalia
|
Arthropoda
|
Insecta
|
Hymenoptera
|
Apidae
|
Bombus
|
Plantae
|
Tracheophyta
|
Magnoliopsida
|
Asterales
|
Asteraceae
|
Solidago
|
42.991721
|
-76.370612
|
2024
|
10
|
5
|
http://creativecommons.org/licenses/by/4.0/
|
https://www.inaturalist.org/observations/246199391
|
|
Bombus impatiens
|
species
|
Solidago sempervirens
|
species
|
visitsFlowersOf
|
Animalia
|
Arthropoda
|
Insecta
|
Hymenoptera
|
Apidae
|
Bombus
|
Plantae
|
Tracheophyta
|
Magnoliopsida
|
Asterales
|
Asteraceae
|
Solidago
|
42.991721
|
-76.370612
|
2024
|
10
|
5
|
http://creativecommons.org/licenses/by/4.0/
|
https://www.inaturalist.org/observations/246199391
|
|
Bombus impatiens
|
species
|
Solidago sempervirens
|
species
|
visitsFlowersOf
|
Animalia
|
Arthropoda
|
Insecta
|
Hymenoptera
|
Apidae
|
Bombus
|
Plantae
|
Tracheophyta
|
Magnoliopsida
|
Asterales
|
Asteraceae
|
Solidago
|
42.991721
|
-76.370612
|
2024
|
10
|
5
|
http://creativecommons.org/licenses/by/4.0/
|
https://www.inaturalist.org/observations/246199391
|
|
Bombus impatiens
|
species
|
Solidago sempervirens
|
species
|
visitsFlowersOf
|
Animalia
|
Arthropoda
|
Insecta
|
Hymenoptera
|
Apidae
|
Bombus
|
Plantae
|
Tracheophyta
|
Magnoliopsida
|
Asterales
|
Asteraceae
|
Solidago
|
42.991721
|
-76.370612
|
2024
|
10
|
5
|
http://creativecommons.org/licenses/by/4.0/
|
https://www.inaturalist.org/observations/246199391
|
|
Bombus impatiens
|
species
|
Solidago sempervirens
|
species
|
visitsFlowersOf
|
Animalia
|
Arthropoda
|
Insecta
|
Hymenoptera
|
Apidae
|
Bombus
|
Plantae
|
Tracheophyta
|
Magnoliopsida
|
Asterales
|
Asteraceae
|
Solidago
|
42.991721
|
-76.370612
|
2024
|
10
|
5
|
http://creativecommons.org/licenses/by/4.0/
|
https://www.inaturalist.org/observations/246199391
|
|
Polystepha pilulae
|
species
|
Quercus coccinea
|
species
|
interactsWith
|
Animalia
|
Arthropoda
|
Insecta
|
Diptera
|
Cecidomyiidae
|
Polystepha
|
Plantae
|
Tracheophyta
|
Magnoliopsida
|
Fagales
|
Fagaceae
|
Quercus
|
38.857542
|
-77.328425
|
2021
|
6
|
8
|
http://creativecommons.org/licenses/by/4.0/
|
https://www.inaturalist.org/observations/82187637
|
|
Polystepha pilulae
|
species
|
Quercus coccinea
|
species
|
interactsWith
|
Animalia
|
Arthropoda
|
Insecta
|
Diptera
|
Cecidomyiidae
|
Polystepha
|
Plantae
|
Tracheophyta
|
Magnoliopsida
|
Fagales
|
Fagaceae
|
Quercus
|
38.857542
|
-77.328425
|
2021
|
6
|
8
|
http://creativecommons.org/licenses/by/4.0/
|
https://www.inaturalist.org/observations/82187637
|
|
Polystepha pilulae
|
species
|
Quercus coccinea
|
species
|
interactsWith
|
Animalia
|
Arthropoda
|
Insecta
|
Diptera
|
Cecidomyiidae
|
Polystepha
|
Plantae
|
Tracheophyta
|
Magnoliopsida
|
Fagales
|
Fagaceae
|
Quercus
|
38.857542
|
-77.328425
|
2021
|
6
|
8
|
http://creativecommons.org/licenses/by/4.0/
|
https://www.inaturalist.org/observations/82187637
|
|
Liriomyza asclepiadis
|
species
|
Asclepias syriaca
|
species
|
interactsWith
|
Animalia
|
Arthropoda
|
Insecta
|
Diptera
|
Agromyzidae
|
Liriomyza
|
Plantae
|
Tracheophyta
|
Magnoliopsida
|
Gentianales
|
Apocynaceae
|
Asclepias
|
42.739181
|
-82.844692
|
2024
|
9
|
27
|
http://creativecommons.org/licenses/by/4.0/
|
https://www.inaturalist.org/observations/246208897
|
|
Liriomyza asclepiadis
|
species
|
Asclepias syriaca
|
species
|
interactsWith
|
Animalia
|
Arthropoda
|
Insecta
|
Diptera
|
Agromyzidae
|
Liriomyza
|
Plantae
|
Tracheophyta
|
Magnoliopsida
|
Gentianales
|
Apocynaceae
|
Asclepias
|
42.739181
|
-82.844692
|
2024
|
9
|
27
|
http://creativecommons.org/licenses/by/4.0/
|
https://www.inaturalist.org/observations/246208897
|
|
Liriomyza asclepiadis
|
species
|
Asclepias syriaca
|
species
|
interactsWith
|
Animalia
|
Arthropoda
|
Insecta
|
Diptera
|
Agromyzidae
|
Liriomyza
|
Plantae
|
Tracheophyta
|
Magnoliopsida
|
Gentianales
|
Apocynaceae
|
Asclepias
|
42.739181
|
-82.844692
|
2024
|
9
|
27
|
http://creativecommons.org/licenses/by/4.0/
|
https://www.inaturalist.org/observations/246208897
|
|
Liriomyza asclepiadis
|
species
|
Asclepias syriaca
|
species
|
interactsWith
|
Animalia
|
Arthropoda
|
Insecta
|
Diptera
|
Agromyzidae
|
Liriomyza
|
Plantae
|
Tracheophyta
|
Magnoliopsida
|
Gentianales
|
Apocynaceae
|
Asclepias
|
42.739181
|
-82.844692
|
2024
|
9
|
27
|
http://creativecommons.org/licenses/by/4.0/
|
https://www.inaturalist.org/observations/246208897
|
|
Macrodiplosis majalis
|
species
|
Quercus coccinea
|
species
|
interactsWith
|
Animalia
|
Arthropoda
|
Insecta
|
Diptera
|
Cecidomyiidae
|
Macrodiplosis
|
Plantae
|
Tracheophyta
|
Magnoliopsida
|
Fagales
|
Fagaceae
|
Quercus
|
38.857542
|
-77.328425
|
2021
|
6
|
8
|
http://creativecommons.org/licenses/by/4.0/
|
https://www.inaturalist.org/observations/82187631
|
|
Macrodiplosis majalis
|
species
|
Quercus coccinea
|
species
|
interactsWith
|
Animalia
|
Arthropoda
|
Insecta
|
Diptera
|
Cecidomyiidae
|
Macrodiplosis
|
Plantae
|
Tracheophyta
|
Magnoliopsida
|
Fagales
|
Fagaceae
|
Quercus
|
38.857542
|
-77.328425
|
2021
|
6
|
8
|
http://creativecommons.org/licenses/by/4.0/
|
https://www.inaturalist.org/observations/82187631
|
|
Salvelinus fontinalis
|
species
|
Gammaracanthus loricatus
|
species
|
preysOn
|
Animalia
|
Chordata
| null |
Salmoniformes
|
Salmonidae
|
Salvelinus
|
Animalia
|
Arthropoda
|
Malacostraca
|
Amphipoda
|
Gammaracanthidae
|
Gammaracanthus
|
48.419781
|
-71.051522
|
2021
|
6
|
8
|
http://creativecommons.org/licenses/by-nc/4.0/
|
https://www.inaturalist.org/observations/82187153
|
|
Salvelinus fontinalis
|
species
|
Gammaracanthus loricatus
|
species
|
preysOn
|
Animalia
|
Chordata
| null |
Salmoniformes
|
Salmonidae
|
Salvelinus
|
Animalia
|
Arthropoda
|
Malacostraca
|
Amphipoda
|
Gammaracanthidae
|
Gammaracanthus
|
48.419781
|
-71.051522
|
2021
|
6
|
8
|
http://creativecommons.org/licenses/by-nc/4.0/
|
https://www.inaturalist.org/observations/82187153
|
|
Salvelinus fontinalis
|
species
|
Gammaracanthus loricatus
|
species
|
preysOn
|
Animalia
|
Chordata
| null |
Salmoniformes
|
Salmonidae
|
Salvelinus
|
Animalia
|
Arthropoda
|
Malacostraca
|
Amphipoda
|
Gammaracanthidae
|
Gammaracanthus
|
48.419781
|
-71.051522
|
2021
|
6
|
8
|
http://creativecommons.org/licenses/by-nc/4.0/
|
https://www.inaturalist.org/observations/82187153
|
|
Salvelinus fontinalis
|
species
|
Gammaracanthus loricatus
|
species
|
preysOn
|
Animalia
|
Chordata
| null |
Salmoniformes
|
Salmonidae
|
Salvelinus
|
Animalia
|
Arthropoda
|
Malacostraca
|
Amphipoda
|
Gammaracanthidae
|
Gammaracanthus
|
48.419781
|
-71.051522
|
2021
|
6
|
8
|
http://creativecommons.org/licenses/by-nc/4.0/
|
https://www.inaturalist.org/observations/82187153
|
|
Salvelinus fontinalis
|
species
|
Gammaracanthus loricatus
|
species
|
preysOn
|
Animalia
|
Chordata
| null |
Salmoniformes
|
Salmonidae
|
Salvelinus
|
Animalia
|
Arthropoda
|
Malacostraca
|
Amphipoda
|
Gammaracanthidae
|
Gammaracanthus
|
48.419781
|
-71.051522
|
2021
|
6
|
8
|
http://creativecommons.org/licenses/by-nc/4.0/
|
https://www.inaturalist.org/observations/82187153
|
|
Salvelinus fontinalis
|
species
|
Gammaracanthus loricatus
|
species
|
eats
|
Animalia
|
Chordata
| null |
Salmoniformes
|
Salmonidae
|
Salvelinus
|
Animalia
|
Arthropoda
|
Malacostraca
|
Amphipoda
|
Gammaracanthidae
|
Gammaracanthus
|
48.419781
|
-71.051522
|
2021
|
6
|
8
|
http://creativecommons.org/licenses/by-nc/4.0/
|
https://www.inaturalist.org/observations/82187153
|
|
Salvelinus fontinalis
|
species
|
Gammaracanthus loricatus
|
species
|
eats
|
Animalia
|
Chordata
| null |
Salmoniformes
|
Salmonidae
|
Salvelinus
|
Animalia
|
Arthropoda
|
Malacostraca
|
Amphipoda
|
Gammaracanthidae
|
Gammaracanthus
|
48.419781
|
-71.051522
|
2021
|
6
|
8
|
http://creativecommons.org/licenses/by-nc/4.0/
|
https://www.inaturalist.org/observations/82187153
|
|
Salvelinus fontinalis
|
species
|
Gammaracanthus loricatus
|
species
|
eats
|
Animalia
|
Chordata
| null |
Salmoniformes
|
Salmonidae
|
Salvelinus
|
Animalia
|
Arthropoda
|
Malacostraca
|
Amphipoda
|
Gammaracanthidae
|
Gammaracanthus
|
48.419781
|
-71.051522
|
2021
|
6
|
8
|
http://creativecommons.org/licenses/by-nc/4.0/
|
https://www.inaturalist.org/observations/82187153
|
|
Salvelinus fontinalis
|
species
|
Gammaracanthus loricatus
|
species
|
eats
|
Animalia
|
Chordata
| null |
Salmoniformes
|
Salmonidae
|
Salvelinus
|
Animalia
|
Arthropoda
|
Malacostraca
|
Amphipoda
|
Gammaracanthidae
|
Gammaracanthus
|
48.419781
|
-71.051522
|
2021
|
6
|
8
|
http://creativecommons.org/licenses/by-nc/4.0/
|
https://www.inaturalist.org/observations/82187153
|
|
Salvelinus fontinalis
|
species
|
Gammaracanthus loricatus
|
species
|
eats
|
Animalia
|
Chordata
| null |
Salmoniformes
|
Salmonidae
|
Salvelinus
|
Animalia
|
Arthropoda
|
Malacostraca
|
Amphipoda
|
Gammaracanthidae
|
Gammaracanthus
|
48.419781
|
-71.051522
|
2021
|
6
|
8
|
http://creativecommons.org/licenses/by-nc/4.0/
|
https://www.inaturalist.org/observations/82187153
|
|
Bombus impatiens
|
species
|
Helianthus
|
genus
|
visitsFlowersOf
|
Animalia
|
Arthropoda
|
Insecta
|
Hymenoptera
|
Apidae
|
Bombus
|
Plantae
|
Tracheophyta
|
Magnoliopsida
|
Asterales
|
Asteraceae
|
Helianthus
|
40.716055
|
-73.955755
|
2024
|
10
|
7
|
http://creativecommons.org/licenses/by-nc/4.0/
|
https://www.inaturalist.org/observations/246199477
|
|
Bombus impatiens
|
species
|
Helianthus
|
genus
|
visitsFlowersOf
|
Animalia
|
Arthropoda
|
Insecta
|
Hymenoptera
|
Apidae
|
Bombus
|
Plantae
|
Tracheophyta
|
Magnoliopsida
|
Asterales
|
Asteraceae
|
Helianthus
|
40.716055
|
-73.955755
|
2024
|
10
|
7
|
http://creativecommons.org/licenses/by-nc/4.0/
|
https://www.inaturalist.org/observations/246199477
|
|
Bombus bimaculatus
|
species
|
Stachys byzantina
|
species
|
visits
|
Animalia
|
Arthropoda
|
Insecta
|
Hymenoptera
|
Apidae
|
Bombus
|
Plantae
|
Tracheophyta
|
Magnoliopsida
|
Lamiales
|
Lamiaceae
|
Stachys
|
36.122847
|
-97.097289
|
2021
|
6
|
8
|
http://creativecommons.org/licenses/by/4.0/
|
https://www.inaturalist.org/observations/82190915
|
|
Bombus bimaculatus
|
species
|
Stachys byzantina
|
species
|
visits
|
Animalia
|
Arthropoda
|
Insecta
|
Hymenoptera
|
Apidae
|
Bombus
|
Plantae
|
Tracheophyta
|
Magnoliopsida
|
Lamiales
|
Lamiaceae
|
Stachys
|
36.122847
|
-97.097289
|
2021
|
6
|
8
|
http://creativecommons.org/licenses/by/4.0/
|
https://www.inaturalist.org/observations/82190915
|
|
Bombus bimaculatus
|
species
|
Stachys byzantina
|
species
|
visits
|
Animalia
|
Arthropoda
|
Insecta
|
Hymenoptera
|
Apidae
|
Bombus
|
Plantae
|
Tracheophyta
|
Magnoliopsida
|
Lamiales
|
Lamiaceae
|
Stachys
|
36.122847
|
-97.097289
|
2021
|
6
|
8
|
http://creativecommons.org/licenses/by/4.0/
|
https://www.inaturalist.org/observations/82190915
|
|
Bombus bimaculatus
|
species
|
Stachys byzantina
|
species
|
visits
|
Animalia
|
Arthropoda
|
Insecta
|
Hymenoptera
|
Apidae
|
Bombus
|
Plantae
|
Tracheophyta
|
Magnoliopsida
|
Lamiales
|
Lamiaceae
|
Stachys
|
36.122847
|
-97.097289
|
2021
|
6
|
8
|
http://creativecommons.org/licenses/by/4.0/
|
https://www.inaturalist.org/observations/82190915
|
|
Bombus bimaculatus
|
species
|
Stachys byzantina
|
species
|
interactsWith
|
Animalia
|
Arthropoda
|
Insecta
|
Hymenoptera
|
Apidae
|
Bombus
|
Plantae
|
Tracheophyta
|
Magnoliopsida
|
Lamiales
|
Lamiaceae
|
Stachys
|
36.122847
|
-97.097289
|
2021
|
6
|
8
|
http://creativecommons.org/licenses/by/4.0/
|
https://www.inaturalist.org/observations/82190915
|
|
Bombus bimaculatus
|
species
|
Stachys byzantina
|
species
|
interactsWith
|
Animalia
|
Arthropoda
|
Insecta
|
Hymenoptera
|
Apidae
|
Bombus
|
Plantae
|
Tracheophyta
|
Magnoliopsida
|
Lamiales
|
Lamiaceae
|
Stachys
|
36.122847
|
-97.097289
|
2021
|
6
|
8
|
http://creativecommons.org/licenses/by/4.0/
|
https://www.inaturalist.org/observations/82190915
|
Subsets and Splits
No community queries yet
The top public SQL queries from the community will appear here once available.